¼Û¼®Áö
           
¼Û¼®Áö³¬Æ¼ÅÍ Á¶È²Á¤º¸

°ü¸®ÀÚ    2025-09-09 17:52:53   
ÀϰýÆíÁý_20250908_08053411111.jpg ( 272.6 KB )   Download : 0
¼Û¼®Áö9¿ù9ÀÏ  


 

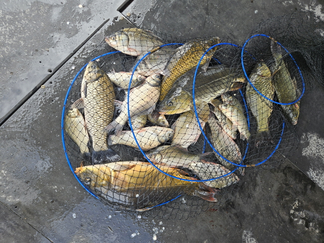
¹ã °ø±â°¡ ¼­´ÃÇØÁ³½À´Ï´Ù.  ¹Ù¶÷¸·ÀÌ  ÁغñÇϼ¼¿ä.


ÀÔÁú½Ã°£Àº ¹ã 10½ÃÁ¤µµÀÔ´Ï´Ù.


³·¿¡´Â »ý¹Ì³¢Á¾·ù ¾²½Ã°í ¹ãºÎÅÍ ¶±¹ä¾²½Ã¸éµË´Ï´Ù.


Á´뿡 ¶ãä ¾î¸Á ÀÖ½À´Ï´Ù.    

 

 

ÀϰýÆíÁý_20250906_08450711111.jpg

 

 

ÀϰýÆíÁý_20250906_08451111111.jpg

 

 

ÀϰýÆíÁý_20250906_10021011111.jpg

 

 

ÀϰýÆíÁý_20250906_10021611111.jpg

 

 

ÀϰýÆíÁý_20250906_10022711111.jpg

 

 

ÀϰýÆíÁý_20250905_11101611111.jpg

 

 

ÀϰýÆíÁý_20250905_13240411111.jpg

 

 

ÀϰýÆíÁý_20250907_08361311111.jpg

 

 

ÀϰýÆíÁý_20250907_08361411111.jpg

 

 

ÀϰýÆíÁý_20250907_10322111111.jpg

 

 

ÀϰýÆíÁý_20250907_10323511111.jpg

 

 

ÀϰýÆíÁý_20250907_11062711111.jpg

 

 

ÀϰýÆíÁý_20250907_11063611111.jpg

 

 

ÀϰýÆíÁý_20250907_11064911111.jpg

 

 

ÀϰýÆíÁý_20250907_11065511111.jpg

 

 

ÀϰýÆíÁý_20250907_11071111111.jpg

 

 

ÀϰýÆíÁý_20250907_11071611111.jpg

 

 

ÀϰýÆíÁý_20250907_11071911111.jpg

 

 

ÀϰýÆíÁý_20250908_08053411111.jpg

 

 

ÀϰýÆíÁý_20250908_08053611111.jpg

 

 

ÀϰýÆíÁý_20250908_08054111111.jpg

 

 

ÀϰýÆíÁý_20250908_10091111111.jpg

 

 

ÀϰýÆíÁý_20250908_10091811111.jpg

 

 

ÀϰýÆíÁý_20250908_10092011111.jpg





¹øÈ£ À̹ÌÁö Á¦ ¸ñ À̸§ µî·ÏÀÏ Á¶È¸¼ö
372   ¼Û¼®Áö1¿ù4ÀÏ
°ü¸®ÀÚ
2026/01/04 179
371   ¼Û¼®Áö12¿ù28ÀÏ
°ü¸®ÀÚ
2025/12/28 229
370   ¼Û¼®Áö12¿ù21ÀÏ
°ü¸®ÀÚ
2025/12/21 221
369   ¼Û¼®Áö12¿ù7ÀÏ
°ü¸®ÀÚ
2025/12/07 271
368   ¼Û¼®Áö11¿ù30ÀÏ
°ü¸®ÀÚ
2025/11/30 208
367   ¼Û¼®Áö11¿ù16ÀÏ
°ü¸®ÀÚ
2025/11/16 342
366   ¼Û¼®Áö11¿ù10ÀÏ
°ü¸®ÀÚ
2025/11/10 348
365   ¼Û¼®Áö11¿ù7ÀÏ
°ü¸®ÀÚ
2025/11/07 275
364   ¼Û¼®Áö10¿ù26ÀÏ
°ü¸®ÀÚ
2025/10/26 512
363   ¼Û¼®Áö10¿ù19ÀÏ
°ü¸®ÀÚ
2025/10/19 437
362   ¼Û¼®Áö10¿ù7ÀÏ
°ü¸®ÀÚ
2025/10/07 509
361   ¼Û¼®Áö10¿ù7ÀÏ
°ü¸®ÀÚ
2025/10/07 347
360   ¼Û¼®Áö9¿ù22ÀÏ
°ü¸®ÀÚ
2025/09/23 599
  ¼Û¼®Áö9¿ù9ÀÏ
°ü¸®ÀÚ
2025/09/09 609
358   ¼Û¼®Áö8¿ù31ÀÏ
°ü¸®ÀÚ
2025/08/31 593
357   ¼Û¼®Áö8¿ù18ÀÏ
°ü¸®ÀÚ
2025/08/18 715
356   ¼Û¼®Áö8¿ù10ÀÏ
°ü¸®ÀÚ
2025/08/10 866
355   ¼Û¼®Áö8¿ù4ÀÏ
°ü¸®ÀÚ
2025/08/05 737
354   ¼Û¼®Áö7¿ù20ÀÏ
°ü¸®ÀÚ
2025/07/20 939
353   ¼Û¼®Áö7¿ù13ÀÏ
°ü¸®ÀÚ
2025/07/13 971
1 [2][3][4][5][6][7][8][9][10]..[19]  
 
 
   
Copyright 1999-2026 Zeroboard / skin by pqbig
 
403 Forbidden